EnglishEspañolPortuguês

O Furacão Irma ganhou força por causa do aquecimento global

10 de setembro de 2017
4 min. de leitura
A-
A+
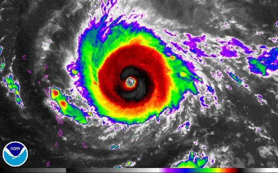
O Furacão Irma, segundo a imagem de satélite da agência americana de oceanos e atmosfera NOAA (Foto: NOAA)

O Furacão Irma, que espalha destruição pelo Caribe, não foi obra humana. Mas é cada vez mais seguro dizer que ele ganhou mais força por causa das mudanças climáticas causadas pelas atividades humanas.

As mudanças climáticas estão aceleradas pela emissão de gases derivados de atividades humanas, indica a ciência atual. São vários gases. O principal deles é o gás carbônico, proveniente da queima de combustíveis fósseis (como derivados de petróleo, gás natural e carvão mineral) e da queima de florestas para desmatamento. Esses gases se acumulam na atmosfera.

A concentração de carbono hoje ultrapassou a marca de 400 partes por milhão. Essa concentração nunca foi vista desde que os humanos surgiram na Terra. Esses gases retêm o calor do sol no planeta, intensificando um fenômeno natural chamado efeito estufa. Com isso, o planeta vem esquentando em ritmo acelerado (para os padrões geológicos), década após década.

Pesquisas recentes mostram que os furacões ficaram mais fortes nas últimas décadas. O aumento de temperatura nas superfícies da terra e do oceano eleva a energia potencial disponível para os furacões que se formam no Atlântico.

O Irma ganhou intensidade quando estava sobre a superfície do mar, de 0,5 a 1,25 grau acima da média. Essa média considera o período entre 1961 e 1990, quando as mudanças climáticas já estavam em andamento. Ou seja, a elevação em relação ao século XIX, antes de as emissões de efeito estufa ganharem escala global, é ainda maior.

Os furacões do Atlântico estão ganhando força, segundo um estudo que mostra a tendência dos últimos 30 anos. essa pesquisa foi liderada por James Elsner, da Universidade da Flórida, e publicada na revista Nature.

Outro estudo, coordenado por Erik Fraza, da Universidade Estadual da Flórida, e publicado na revista Physical Geography, associa a intensificação dos furacões com a elevação de temperatura no Atlântico.

Um trabalho ainda mais detalhado, dessa vez sobre os ciclones (os furacões do Pacífico), traça a relação entre a influência humana, as mudanças no oceano e a intensificação das tempestades destruidoras. Esse estudo foi liderado por Wei Zhang da NOAA, agência americana de oceanos e atmosfera, e publicado na revista da Sociedade Meteorológica Americana.

“Os furacões extraem energia do oceano para convertê-la em força dos ventos. Quando mais quente estiver o oceano, mais forte o furacão pode ficar. Por isso, os cientistas estão seguros de que, se continuarmos a esquentar os oceanos, teremos mais desses furacões extremamente fortes”, diz o meteorologista americano Jeff Masters, da empresa de previsão do tempo Weather Underground.

“O Irma certamente se encaixa no padrão de furacões cada vez mais fortes, que é precisamente o que os estudos previram que veríamos como resultado do aquecimento global provocado pelos humanos”, diz o climatologista Michael Mann, da Universidade Penn State, nos Estados Unidos. Mann é o autor do levantamento mais famoso que mostra a aceleração do aquecimento global nas últimas décadas.

Um estudo de 2012 mostrou que os furacões do Atlântico estão ganhando força mais rápido do que há 25 anos. Esse trabalho foi liderado por C.M. Kishtawal, do Centro de Pesquisas Espaciais de Ahmedabad, na Índia, e publicado na revista Geophysical Research Letters, da União Geofísica Americana.

Outro estudo, de 2016, confirmou que os furacões estão ganhando força mais rápido e subindo para categorias mais altas. Quanto mais alta a categoria, mais forte e destruidor é o furacão. Também mostrou a relação entre o aquecimento do mar causado pelos humanos e a força crescente dos furacões. Essa pesquisa, de Jing Xu, da Administração Meteorológica da China, em Pequim, foi publicada na revista da Sociedade Meteorológica Americana.

O Furacão Harvey, que arrasou partes do Texas há poucos dias, também foi relacionado com as mudanças climáticas. Os furacões do Atlântico afetam vários países do Caribe. Alguns bastante pobres, como o Haiti. Mas os furacões também se abatem sobre os Estados Unidos. É irônico que o país, um dos maiores responsáveis pelas emissões causadoras das mudanças climáticas, esteja vivendo uma administração que praticamente nega o fenômeno e vem promovendo vários retrocessos na luta para reduzir as piores consequências para o planeta.

Fonte: Época

Você viu?

Ir para o topo